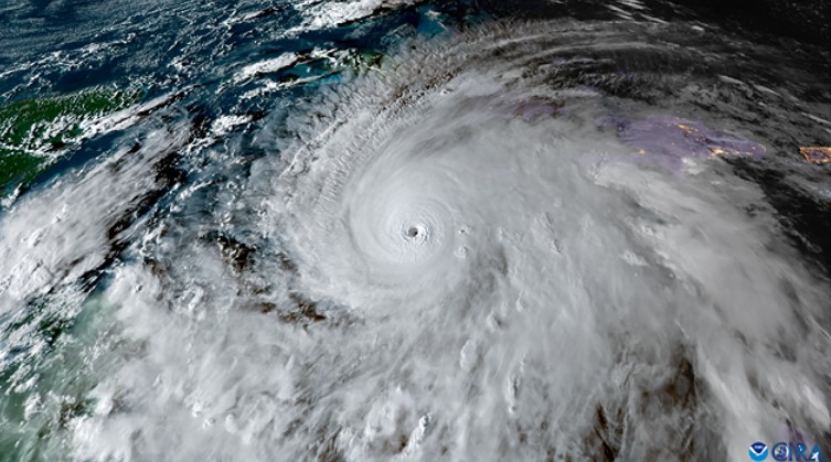
Major Hurricane Melissa made landfall in Jamaica in late October 2025 and, after analysis, has officially been dubbed the strongest hurricane to make landfall in Jamaica and tied for the strongest hurricane in the Atlantic Basin.
Although the U.S. mainland didn’t have a significant hurricane season in 2025, history was made in late October when Melissa rapidly intensified south of Jamaica before making landfall as the island nation’s strongest hurricane on record.

Major Hurricane Melissa’s sustained winds reached 184 mph at landfall near New Hope, Jamaica. After analysis by the National Hurricane Center, Melissa is tied for the strongest hurricane in the Atlantic Basin along with 2019’s Hurricane Dorian and the 1935 Labor Day Hurricane.
Melissa brought life-threatening and catastrophic damage through flooding rains, damaging winds and storm surge impacting western Jamaica and the Greater Antilles. It is responsible for at least 95 fatalities.
Here’s the part that matters: hurricane melissa’s upgraded peak intensity shifts the storm from a historic landfall to a record-level Atlantic hurricane, and the first to feel that change most acutely are the communities in Jamaica still counting losses and rebuilding. The post-season reassessment raises the storm’s peak to 190 mph, and that adjustment reframes both the human cost and how the season will be tallied.
Immediate impact: people, places and the burden of a new record
The upgraded peak matters first for Jamaica, where the storm made landfall and where recovery is ongoing. Coverage of the storm noted devastating impacts to the island and a death toll of 95 people. The upgrade does not change those losses, but it alters how the event is categorized in historical lists and in official statistics that guide future preparedness and aid discussions.
It’s easy to overlook, but a record calm in classification can have practical consequences: rebuilding priorities, insurance assessments and the way future warnings are contextualized for residents and responders.
Hurricane Melissa: the reassessment that pushed winds to 190 mph
Post-season review found the storm’s peak intensity reached 190 mph, up from an earlier assessment of 185 mph. During the storm, satellite data and instruments from Hurricane Hunter aircraft suggested the storm may have touched 190 mph; that figure was confirmed by the National Hurricane Center on Wednesday. One detailed readout of peak intensity lists 165 kt (190 mph) as the highest sustained wind in late October 2025, recorded just before landfall on Jamaica.
Last October, Melissa made landfall in Jamaica as a 185 mph Category 5 hurricane. Another data point in the record says Melissa made landfall on western Jamaica with sustained winds of 160 kt. The historical record now includes both the original landfall assessment and the post-season peak upgrade.
How Melissa ranks: ties, gusts and pressure notes
- The 190 mph confirmation ties Melissa with Hurricane Allen from 1980 for the highest maximum sustained winds recorded in the Atlantic basin.
- The storm’s earlier 185 mph landfall reading had tied Melissa with Hurricane Dorian and the Labor Day Hurricane of 1935 for strongest hurricane landfalls in the Atlantic basin.
- From a pressure perspective, Melissa stands tied for the third most intense hurricane on record.
- Late last year it was confirmed that Melissa produced the strongest wind gust ever recorded in a tropical cyclone: a 252 mph gust.
Compact timeline and next signals
- Late October 2025: Melissa reached peak wind readings noted as 165 kt (190 mph) just before Jamaica landfall.
- Last October: Melissa made landfall in Jamaica with an initial assessment of 185 mph as a Category 5 hurricane.
- Post-season (Wednesday): National Hurricane Center confirmed a revised peak of 190 mph after analysis of satellite and Hurricane Hunter data.
The real question now is whether follow-up studies will change other technical measures from the storm; further archival work and peer review could refine pressure or wind-gust attributions, and those adjustments would be the clearest signals of how much the historical picture still can shift.
Datelines in initial coverage included Orlando, Fla., and Bryan, Texas. Jonathan Kegges joined the team in June 2019 and now covers weather on TV and digital platforms. Public File assistance can be reached at 291-6000. One of the outlets noted a commitment to incorporating Artificial Intelligence technologies into news gathering and presentation.
What’s easy to miss is that categorization tweaks like this matter beyond headlines: they feed into the archive that emergency managers, insurers and researchers use for decades.


